Fußverkehr,
Gesundheit,
Infrastruktur,
Kinder und Jugendliche,
Radverkehr,
Verkehrspolitik
Freiburg
Der Freiburger Sozialbericht 2023 offenbart deutliche soziale Ungleichheiten und verfestigte Segregation in der Stadt, insbesondere in Haslach und Weingarten. Wenn die Stadtverwaltung und der Gemeinderat nicht entgegensteuern, droht der Zugang zur örtlichen Bevölkerung verloren zu gehen. Lokale soziale Strukturen müssen gestärkt werden, aber wie? Mit der geplanten Verkehrsberuhigung im Haslacher Stadtteilzentrum eröffnen sich hier einzigartige Möglichkeiten. Eine Variante: Die Opfinger Brücke wird für den Autoverkehr gesperrt. Was auf den ersten Blick radikal aussieht, ist beim genaueren Hinsehen eine pragmatische Lösung und eine einzigartige Chance für den sozialen Zusammenhalt der beiden Stadtteile. Unser Freiburger Vorstand Paul Daum argumentiert.

Die Brücke zwischen Haslach und Weingarten könnte weit mehr sein als eine Verkehrsverbindung. Sie könnte die Menschen in beiden Stadtteilen näher zusammenbringen, indem man sie für den Autoverkehr sperrt.
Durch die Sperrung der Brücke für Autos entsteht ein neuer Raum, der den Alltag vieler Menschen erleichtert. Die neu gestaltete Brücke bietet breite und sichere Gehwege, besonders für mobilitäts- und seheingeschränkte Menschen, und sichere Radstreifen, die schnelle Besorgungen beim Bäcker Pfeifle oder den Ausflug zum Weingartener Wochenmarkt deutlich entspannter machen.
Pendler*innen von Rieselfeld (und bald Dietenbach) können auf den breiten Straßen mit dem Fahrrad sicher und schnell in die Stadt und wieder nach Hause kommen. Die Umwidmung der Brücke macht den Weg zwischen den Stadtteilen sicherer und attraktiver – für alle Altersgruppen. Außerdem bietet die umgestaltete Brücke Raum für stadtteilübergreifende Aktivitäten, wie zum Beispiel eine Haslach-Weingarten Fahrrad-Rallye.
Die Brücke steht jetzt für mehr als einen reinen Verkehrsweg: Sie wird zum Herzstück der Nachbarschaft, das Verbindungen stärkt, den Alltag der Menschen erleichtert und den sozialen Zusammenhalt fördert.
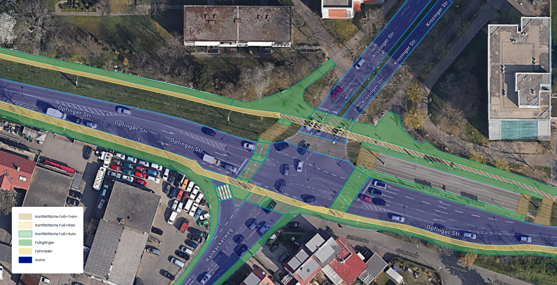
Durch die Umgestaltung wird viel Verkehrsfläche an der Kreuzung Krozinger Straße - Opfinger Straße nicht mehr benötigt. Bis zu 2000 qm Fläche kann hier neu gestaltet werden, die bisher nur für das Hindurchfahren reserviert war. Es entsteht eine grüne Oase: Bäume spenden Schatten und schützen die Fahrgäste der VAG vor Hitze.
Den Bewohnern von Haslach-Haid wird ein attraktiver und sicherer Übergang zum Weingartener Marktplatz geboten. Die große Kreuzung mit ihrer infrastrukturell wichtigen Straßenbahnhaltestelle wird zu einem gemeinsamen Aushängeschild der beiden Stadtteile: Sie vereint sie, statt sie zu trennen.

Außerdem wird der Durchgangsverkehr in der Carl-Kistner-Straße (CaKi) stark reduziert – ein Ergebnis einer von der Stadt Freiburg durchgeführten Verkehrsuntersuchung. Unter fünf vorgeschlagenen Varianten war diese Maßnahme die beliebteste unter den Haslacher Bürger*innen. Was viele nicht wissen: Die CaKi ist bereits jetzt eine Anliegerstraße. Das reine Hindurchfahren ist verboten.
Eine Verkehrsberuhigung wird die CaKi deutlich aufwerten: Sie wird attraktiver für Wocheneinkäufe und zum Flanieren. Schüler*innen finden hier einen lebendigen Treffpunkt, an dem sie ihre Pausen mitten im Stadtteilleben verbringen können. Die lokale Daseinsvorsorge, betrieben von vielen engagierten Bürger\*innen in Haslach, wird gestärkt.
So wird aus einer stark befahrenen Durchgangsstraße ein lebendiger und freundlicher Ort, an dem Nachbarschaft und Gemeinschaft spürbar wachsen. Hiervon profitiert der gesamte Stadtteil.

Die positiven Effekte einer solchen Maßnahme zeigt eindrucksvoll die Wiwilibrücke, besser bekannt als die Blaue Brücke. Ursprünglich war sie eine normale Autostraße. Die Sperrung für den KFZ-Verkehr im Jahr 1996 wurde anfangs kritisch gesehen, hat sich aber als voller Erfolg erwiesen. Heute nutzen ganz selbstverständlich täglich bis zu 14.000 Menschen mit dem Fahrrad die Brücke (plus Zufußgehende), um sicher und schnell zur Uni, zur Arbeit oder in die Innenstadt zu gelangen.
Doch sie ist mehr als ein Weg: Sie ist ein Treffpunkt für junge Leute, die es sich auf den Bögen der Brücke gemütlich machen und die Aussicht genießen. Sie ist eine Bühne für Straßenmusiker*innen und Performance-Künstler*innen. Nicht zuletzt ist sie ein Wahrzeichen für ein lebendiges und lebenswertes Freiburg.
Die Blaue Brücke zeigt: Eine mutige Entscheidung kann eine Autostraße in ein kulturelles Wahrzeichen verwandeln. Hier bietet sich Freiburg diese Chance erneut: Die Grüne Brücke.
Die Grüne Brücke ist mehr als ein Symbol – sie bietet eine pragmatisch Lösung für aktuelle Herausforderungen: In Freiburg trifft soziale Ungleichheit besonders die Stadtteile Haslach und Weingarten. Laut Sozialbericht der Stadt Freiburg (2023) lebt in Weingarten fast jede fünfte Person (18%) in einer Bedarfsgemeinschaft. Dies bedeutet, dass die Person selbst oder eine andere Person im selben Haushalt Sozialhilfe empfängt. Menschen mit geringem Einkommen können oft nur kleinere Wohnungen finanzieren, die oft zudem an stark befahrenen Straßen liegen. Die Folge: gesundheitliche Probleme durch Lärm und Luftverschmutzung. Umso wichtiger sind für sie gut gestaltete öffentliche Räume, die Erholung, Bewegung und Begegnung an der frischen Luft ermöglichen.
Die Corona-Pandemie hat gezeigt, wie dringend solche Räume gebraucht werden. Familien in engen Wohnungen hatten in dieser Zeit kaum Rückzugsorte, während andere Stadtteile mit grünen Innenhöfen und ruhigen Parks besser durch die Isolation kamen. Auch angesichts steigender Lebenshaltungskosten und der unsicheren globalen Lage ist klar: Freiburg muss krisenfest werden. Die großen politischen Weichenstellungen liegen zwar nicht auf kommunaler Ebene, doch auch die Stadt kann Einfluss nehmen. Die Grüne Brücke ist ein solcher Hebel: Sie schafft Raum für alle, fördert gesunde Mobilität und bereichert das Leben in sozial benachteiligten Stadtteilen.
Natürlich gibt es Stimmen, die befürchten, dass die Menschen in Weingarten durch die Sperrung der Brücke für Autos abgehängt werden könnten. Doch ein genauer Blick auf die Mobilitätssituation und die soziodemografische Struktur zeigt, dass diese Sorge unbegründet ist.
Laut der Studie Mobilität in Freiburg (2022) besitzen nur etwa die Hälfte der Haushalte mit sehr niedrigem Einkommen überhaupt ein Auto. Das liegt daran, dass Autos im Unterhalt sehr teuer sind: Sprit, Versicherung, Reparatur, Parkgebühren oder alleine der Führerschein übersteigen oft das Budget.
Hinzu kommen Kinder und Jugendliche (ohne Führerschein), aber auch Erwachsene, die sich bewusst gegen ein Auto entschieden haben. Für die Wenigen, die wirklich auf ein Auto angewiesen sind, bleibt die Anbindung vollständig erhalten: Die beiden Stadtteile sind über zwei vierspurige Bundesstraßen miteinander verbunden - Es lassen sich also alle Ziele bequem erreichen.
Für die Mehrheit der Einwohner*innen ist die Sperrung der Brücke daher keine Einschränkung, sondern eine Bereicherung: Sie schafft sichere und direkte Verbindungen für Menschen jeden Alters und Einkommens, macht die Menschen unabhängig vom Auto und macht HaWei für alle attraktiver.
Der Stadtrat hat jetzt erneut die Chance, eine mutige Entscheidung zu treffen – für ein Freiburg, das soziale und klimafreundliche Mobilität in den Mittelpunkt stellt.
Die VCD Ortsgruppe Freiburg setzt sich für eine ökologisch nachhaltige, sichere und sozial gerechte Mobilität in Freiburg ein. Dazu überzeugen wir den Gemeinderat und die Stadtverwaltung, arbeiten in städtischen Gremien mit und machen öffentliche Kampagnen.
Mach mit!
Gefällt dir unsere politische Arbeit? Unterstütze uns mit deiner Spende! Setze durch deine Mitgliedschaft beim VCD ein Zeichen für den umweltfreundlichen Verkehr!